For Sale By Auction | 19:00, 24 May 2017 | Lot 6

Land at Stanedge, Off the B5067 Darley Road, Chesterfield, Derbyshire, S45 0LW

Sold After

  • Land
  • Tenure: See Legal Pack

Call the team on 01246 232 698 for more information

Auction Date

Wed 24/05/2017

Auction Time

19:00

Auction Venue

Bridge House

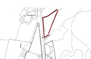
An excellent opportunity to purchase an area of land of approximately half an acre or thereabouts

An excellent opportunity to purchase an area of land of approximately half an acre or thereabouts (please note that this has not been measured or checked by ourselves). Having the benefit of a stone walled frontage to Darley Road and gated access. The land is bounded by a mixture of stone walls and post and wire fences and is more particularly shown edged red on the copy of the land registry title number DY479185. The parcel of land offers potential for a variety of uses subject to the necessary local authority consents.

Tenure

See Legal Pack

Directions

Leave Chesterfield via the A632 Matlock Road and at Stanedge bear right onto Darley Road and just before the Peak Edge Hotel the property is situated on the right hand side and clearly identified by a for sale sign board.

Special Conditions of Sale

The purchaser in addition to the fall of the hammer price will be resposnible for 1.5% plus vat auction costs subject to a minimum fee of £1495 plus vat whichever is the greater.

Viewings

At any reasonable time on site.

Energy Efficiency Rating (EPC)

Current Rating N/A

Local Authority

North East Derbyshire District Council

Solicitors

Atkinson Ritson, 15 Fisher Street, Carlisle, Cumbria, CA3 8RW, Ref: Gill Smith, Tel: 01228525211

Important Notice to Prospective Buyers:

We draw your attention to the Special Conditions of Sale within the Legal Pack, referring to other charges in addition to the purchase price which may become payable. Such costs may include Search Fees, reimbursement of Sellers costs and Legal Fees, and Transfer Fees amongst others.

Additional Fees

Buyer's Premium - 1.8% inc VAT of the purchase price, subject to a minimum of £1794 inc VAT, payable on exchange of contracts.

Administration Charge - £660 inc VAT payable on exchange of contracts.

Disbursements - Please see the legal pack for any disbursements listed that may become payable by the purchaser on completion.

Please see the legal pack for any disbursements listed that may become payable by the purchaser on completion.

View Larger Map

Disclaimer: The map preview provided above is for general guidance only and may not accurately reflect the exact location or surrounding buildings. Prospective buyers and interested parties are strongly advised to independently verify the precise location and surroundings before bidding.