Withdrawn | Lot 147

Land at Drake Road, Horley, West Sussex, RH6 8SJ

Withdrawn

  • Land
  • Tenure: Freehold

Call the team on 020 7625 9007 for more information

Auction Date

Wed 08/02/2023

Auction Time

9:00

Auction Venue

Live Stream

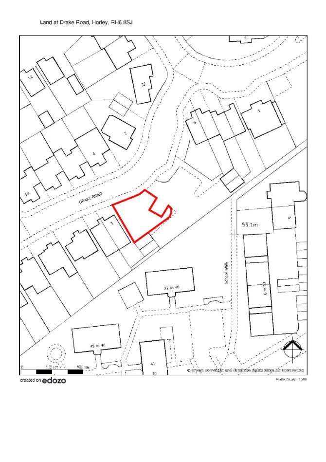
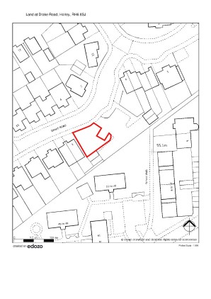
A Plot of Land Measuring Approximately 153 sq m (1,646 sq ft)

This site comprises an irregular shaped plot of land measuring approximately 153 sq m (1,646 sq ft).

Tenure

Freehold

Location

The property is situated on a residential road close to local shops and amenities. The open spaces of Horley Recreation Ground and Court Lodge Fields are within easy reach. Transport links are provided by Horley rail station.

The site area depicted within the plan in the auction particulars is for indicative purposes only. Additionally, any measurements stated may not be exact. Buyers should refer to the legal pack for the accurate site boundary and any consents or rights over the land. Purchasers are deemed to rely on their own enquiries with regard to precise measurements and any possible development potential or alternative uses for this land plot.

Services

Interested parties are requested to make their own enquiries to the relevant authorities as to the availability of services.

Important Notice to Prospective Buyers:

We draw your attention to the Special Conditions of Sale within the Legal Pack, referring to other charges in addition to the purchase price which may become payable. Such costs may include Search Fees, reimbursement of Sellers costs and Legal Fees, and Transfer Fees amongst others.

Additional Fees

Administration Charge - Purchasers will be required to pay an administration fee of £1,800 inc VAT

Disbursements - Please see the legal pack for any disbursements listed that may become payable by the purchaser on completion.

View Larger Map

Disclaimer: The map preview provided above is for general guidance only and may not accurately reflect the exact location or surrounding buildings. Prospective buyers and interested parties are strongly advised to independently verify the precise location and surroundings before bidding.