For Sale By Auction | 12:00, 14 September 2016 | Lot 9

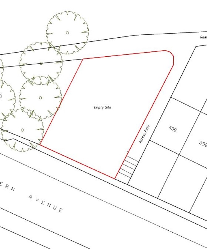
Land Adjacent to 400 Western Avenue, Acton, London, W3 0PL

Sold After

  • Land
  • Tenure: Freehold

Call the team on 020 7625 9007 for more information

Auction Date

Wed 14/09/2016

Auction Time

12:00

Auction Venue

The Cumberland, Great Cumberland Place, London, W1H 7DL

A Freehold Site Measuring Approximately 3,744 sq ft Offered With Planning Permission to Create 7 Self-Contained Apartments (6 x 1 Beds and 1 x 2 Beds)

Tenure

Freehold

2 Line Address

False

Location

The site is situated on the northern side of the A40 Western Avenue which is a busy trunk road leading into Central London from West London. Access is gained directly behind the residential properties facing the A40 Western Ave (please refer to map). North Acton (Central Line) and Park Royal (Piccadilly Line) underground stations are within close proximity.

We understand that a further application has been submitted to add an additional floor to create two further one bedroom flats.

Planning

Ealing Borough Council granted the following planning (Ref: PP/2014/4427) on the 10th November 2014: 'Construction of a four storey residential building providing 7 self contained flats (6 x 1 bed and 1 x 2 bed) with associated cycle storage, bin storage and landscaping.'

Lot Type

Plots/Building Land

Viewing Details

Open Site

Negotiator Signed Off

False

Services

Interested parties are requested to make their own enquiries to the relevant authorities as to the availability of services.

Important Notice to Prospective Buyers:

We draw your attention to the Special Conditions of Sale within the Legal Pack, referring to other charges in addition to the purchase price which may become payable. Such costs may include Search Fees, reimbursement of Sellers costs and Legal Fees, and Transfer Fees amongst others.

Additional Fees

Administration Charge - Purchasers will be required to pay an administration fee of £1,500 inc VAT

Disbursements - Please see the legal pack for any disbursements listed that may become payable by the purchaser on completion.

View Larger Map

Disclaimer: The map preview provided above is for general guidance only and may not accurately reflect the exact location or surrounding buildings. Prospective buyers and interested parties are strongly advised to independently verify the precise location and surroundings before bidding.