Sold Prior | Lot 96

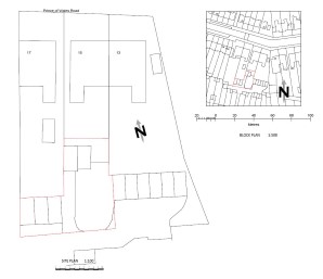
Garages to the Rear of 15 Prince of Wales Road, Sutton, Surrey, SM1 3PD

Sold Prior

  • Land

Call the team on 020 7625 9007 for more information

Auction Date

Wed 14/09/2016

Auction Time

12:00

Auction Venue

The Cumberland, Great Cumberland Place, London, W1H 7DL

A Vacant Garage Forming Part of a Larger Site with Planning Permission to Erect a One Bedroom Bungalow with Parking.

The site a vacant garage which form part of a larger site with planning permission to erect a one bedroom bungalow. Exterior The property benefits from side access from Prince of Wales Road and can also be accessed from the unmade road from Connaught Road to the South by both foot and vehicle.

2 Line Address

False

Location

The property is situated close to the local shops and amenities of Sutton and Carshalton. The open spaces of Royston Park are within easy reach. Transport links are provided by Carshalton rail station.

Planning

A Planning Application has been submitted to Sutton Borough Council on 7th June 2016 (ref: C2016/74598) for: "Erection of a detached 1-bedroomed bungalow, provision of refuse, recycling and cycle facilities and use of existing garage to provide two parking spaces for use of new dwelling"

Lot Type

Plots/Building Land

Viewing Details

Sold Prior

Addendum

Sold Prior

Services

Interested parties are requested to make their own enquiries to the relevant authorities as to the availability of services.

Important Notice to Prospective Buyers:

We draw your attention to the Special Conditions of Sale within the Legal Pack, referring to other charges in addition to the purchase price which may become payable. Such costs may include Search Fees, reimbursement of Sellers costs and Legal Fees, and Transfer Fees amongst others.

Additional Fees

Administration Charge - Purchasers will be required to pay an administration fee of £1,500 inc VAT

Disbursements - Please see the legal pack for any disbursements listed that may become payable by the purchaser on completion.

View Larger Map

Disclaimer: The map preview provided above is for general guidance only and may not accurately reflect the exact location or surrounding buildings. Prospective buyers and interested parties are strongly advised to independently verify the precise location and surroundings before bidding.