For Sale By Auction | 12:00, 12 March 2025 | Lot 54

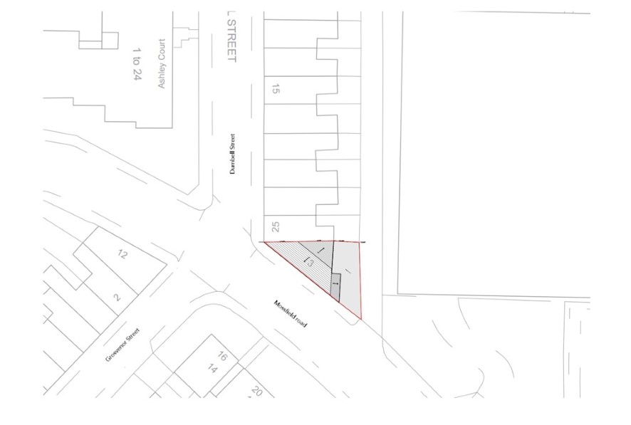
3 Mossfield Road, Pendlebury, Swinton, Manchester, Greater Manchester M27 6EN

*Guide | £175,000 (plus fees)

  • Commercial Development
  • Tenure: Leasehold.

Call the team on 01772 772450 for more information

Auction Date

Wed 12/03/2025

Auction Time

12:00

Auction Venue

Online Auction

Viewing Times:

Mon 10 Mar

12:00-13:00

Commercial Premises With Development Potential

Exceptional Investment Opportunity in the Heart of Pendlebury Salford, Manchester. This unique property offers a double fronted commercial building with the potential to develop the first and second floor modern flats above, allowing this to be very versatile property which has the potential highly lucrative investment (subject to relevant permissions). The vendor has received a Pre app from Salford city council for the conversion of two apartments to the first and second floor and two commercial units to the ground floor which is available upon request Spanning approximately 1,800 sq. ft., the property features five rooms with multiple entrances to the ground floor, along with office space, kitchens, and bathroom facilities on the first floor. Situated in the lively area of Pendlebury, Salford, this commercial space is ideal for retail, dining, or service-based businesses, benefiting from excellent visibility and high foot traffic. Salford is a fast-growing city with a rich history, cultural attractions, and a thriving economy. With its close proximity to universities, excellent transport links, and ongoing development, this location offers exceptional potential for long-term growth and profitability. Tenure: Leasehold Title number: LA165070 Length of Lease/Term: 999 years from 25th March 1899 Ground Rent : £5 Council Tax Band : Local Authority: Salford Finance is available on this lot. For a decision-in-principle visit togethermoney.com/amydip/

Tenure

Leasehold.

IMPORTANT INFORMATION

Buying at auction is a contractual commitment, you are legally obliged to buy the lot on the terms of the sale memorandum at the price you bid. If you are the successful bidder, you are required to pay the deposit and auction fees immediately. As agent for the seller, we treat any failure to satisfy your obligations as your repudiation of the contract and the seller may then have a claim against you for breach of contract. You must not bid unless you wish to be bound by the common conditions of auction.

ANTI-MONEY LAUNDERING REGULATIONS

In accordance with Anti-Money Laundering Regulations, two forms of identification and confirmation of the source of funding will be required from the successful purchaser. Every effort has been made to confirm the accuracy of the lot details including any defect in the title both with the vendor and their solicitor. Auction House will not be held responsible for any failure to disclose any such defects. Any purchasers choosing to buy without viewing in person are doing so at their own risk and acknowledge that the auctioneer will not be held responsible for any issues that may arise due to them being unintentionally missed from the video or sales particulars. Please refer to legal pack for additional fees and the Auction Information document for guidance prior to bidding.

Energy Efficiency Rating (EPC)

Current Rating E

Local Authority

Salford City Council

Offered in association with

Ardent Homes

Important Notice to Prospective Buyers:

We draw your attention to the Special Conditions of Sale within the Legal Pack, referring to other charges in addition to the purchase price which may become payable. Such costs may include Search Fees, reimbursement of Sellers costs and Legal Fees, and Transfer Fees amongst others.

Additional Fees

Buyer's Premium - £1800 inc VAT payable on exchange of contracts.

Administration Charge - 1.98% inc VAT of the purchase price, subject to a minimum of £1980 inc VAT, payable on exchange of contracts.

Disbursements - Please see the legal pack for any disbursements listed that may become payable by the purchaser on completion.

View Larger Map

Disclaimer: The map preview provided above is for general guidance only and may not accurately reflect the exact location or surrounding buildings. Prospective buyers and interested parties are strongly advised to independently verify the precise location and surroundings before bidding.