For Sale By Auction | 02:00 pm, 16 May 2018 | Lot 69

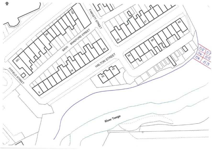
Plot 54 Land At River Tonge, Rear Of Halton Street, Bolton, Lancashire, BL2 1JT

Withdrawn After

  • Land
  • Tenure: Freehold

Call the team on 0161 830 7477 for more information

Auction Date

Wed 16/05/2018

Auction Time

02:00 pm

Auction Venue

Macron Stadium, Platinum Suite, De Havilland Way, Bolton, BL6 6SF

Plot No 54 Freehold Parcel of Land forming Part of a Larger 1.1 Acre Site fronting the River Tonge

Plot No 54 freehold parcel of land forming part of a larger 1.1 acre site fronting the River Tonge. Close to residential housing and having views over the river. Not inspected by Auction House but we are advised the land is overgrown with variations in height, trees are protected under a tree preservation order. Bolton Town Centre is very close by as is the main Bury New Road/Bradford Street junction. The plots are offered as separate lots. Buyers are to rely on their own enquiries regards to any potential or change of use.

Tenure

Freehold

Viewing

Any reasonable time at own risk

Energy Efficiency Rating (EPC)

Current Rating N/A

Local Authority

Bolton Metropolitian Borough Council

Important Notice to Prospective Buyers:

We draw your attention to the Special Conditions of Sale within the Legal Pack, referring to other charges in addition to the purchase price which may become payable. Such costs may include Search Fees, reimbursement of Sellers costs and Legal Fees, and Transfer Fees amongst others.

Additional Fees

Administration Charge - 0.9% including VAT subject to a minimum of £900.00 including VAT

Disbursements - Please see the legal pack for any disbursements listed that may become payable by the purchaser on completion.

View Larger Map

Disclaimer: The map preview provided above is for general guidance only and may not accurately reflect the exact location or surrounding buildings. Prospective buyers and interested parties are strongly advised to independently verify the precise location and surroundings before bidding.