For Sale By Auction | 14:00, 14 February 2019 | Lot 55

Land South Of Henllys, Off Rhiwgarn Estate, Trebanog, Porth, Rhondda, Rhondda Cynon Taff, CF39 9DJ

Sold £300

  • Land
  • Tenure: Leasehold

Call the team on 01772 772450 for more information

Auction Date

Thu 14/02/2019

Auction Time

14:00

Auction Venue

Bolton Wanderers Stadium Platinum Suite, De Havilland Way, Bolton, BL6 6SF

Approx. 2 Acre Site in Close Proximity to Existing Housing

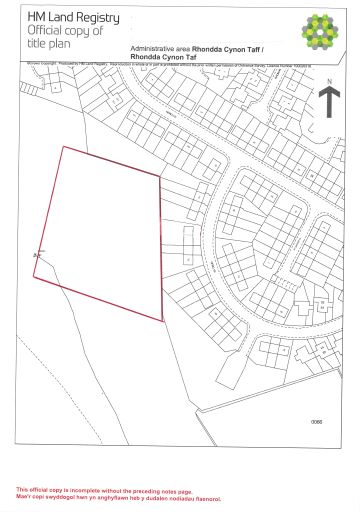
An area of land that extends to approximately 0.8 hectares (2 acres) or thereabouts in close proximity to Rhiwgarn Housing Estate and located approximately 1.5 miles from Porth Town Centre. The land is overgrown in nature and of varying topography and has pleasant views across the surrounding countryside. The land can be accessed from Rhiwgarn Road along a right of way on foot as shown highlighted within the legal pack. The land is outside but close to the settlement boundary within Rhondda Cynon Taf Council's Local Development Plan (2006-2021) and interested parties are advised to make their own enquiries with the council's planning department. Held on a new 999 year lease from January 2019 with freeholders consent for residential or commercial development or change of use subject to planning permission. Check legal pack for lease details.

Tenure

Leasehold

Note

This title plan shows the general position, not the exact line, of the boundaries. It may be subject to distortions in scale. Measurements scaled from this plan may not match measurements between the same points on the ground.

Energy Efficiency Rating (EPC)

Current Rating N/A

Local Authority

Rhondda Cynon Taff County Borough Council

Important Notice to Prospective Buyers:

We draw your attention to the Special Conditions of Sale within the Legal Pack, referring to other charges in addition to the purchase price which may become payable. Such costs may include Search Fees, reimbursement of Sellers costs and Legal Fees, and Transfer Fees amongst others.

Additional Fees

Buyer's Premium - £1080 inc VAT payable on exchange of contracts.

Administration Charge - 0.9% inc VAT of the purchase price, subject to a minimum of £900 inc VAT, payable on exchange of contracts.

Disbursements - Please see the legal pack for any disbursements listed that may become payable by the purchaser on completion.

View Larger Map

Disclaimer: The map preview provided above is for general guidance only and may not accurately reflect the exact location or surrounding buildings. Prospective buyers and interested parties are strongly advised to independently verify the precise location and surroundings before bidding.